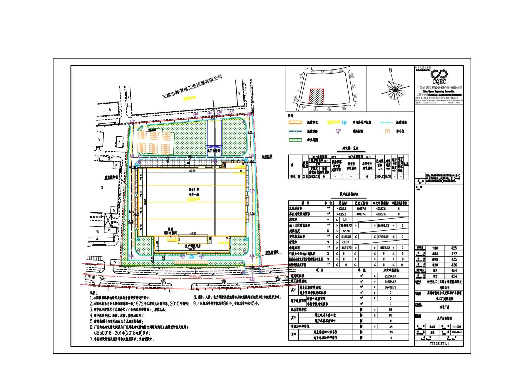
天津港保税区高端智能组合式变压器产品数字化工厂建设项目建筑设计方案调整总平图进行公示
作者:投稿用户 • 更新时间:2026-01-05 16:14:33
依据《中华人民共和国城乡规划法》和建设部《关于城乡规划公开公示的规定》等相关规定要求,现将高端智能组合式变压器产品数字化工厂建设项目建筑设计方案调整总平图进行公示,公示期为7个工作日。
意见反馈请回复天津港保税区规划国土和建设交通局规划科,联系电话:022- 66619879。征求意见时间为7个工作日,逾期视为无意见。
(公示图详见附件)
附件下载:高端智能组合式变压器产品数字化工厂建设项目.jpg
原文地址:https://www.tjftz.gov.cn/contents/6021/374080.html
温馨提示:以上数据根据互联网公开信息整合而成,仅供用户参考。建议您使用前再次确认数据真实准确性,您的任何决策由您自行承担风险。免费咨询入口上一篇:芜湖:“近景+远景“双图核验 筑牢施工人员维权信息屏障
下一篇:【大渡口】区住房城乡建委召开全区房地产开发项目品质提升现场观摩会
